2020世中运迎来倒计时一周年,
晋江也迎来身价上涨的高光时刻!
各项城建利好加码、城市面貌不断焕新,
土地市场也迎来新一轮的水涨船高。
在刚刚结束的10月12日的晋江P2019-32、
10月16日的晋江P2019-33地块出让现场上,
均上演了多家地产商多轮抢拍加价的场景,
最终两宗地块均由中南竞得,
楼面价分别为6735元/㎡、5486元/㎡。
至此,中南福建地区第五子落地晋江,
正是冲着晋江的前景与利好而来。
土地市场的“金九银十”还在持续,
至10月底前,
晋江市还有三块地即将出让
总建筑面积达
约284481平方米!
最高限价达12725元/㎡!
其中,
10月18日出让的P2019-35地块、
10月24出让的P2019-34地块均位于晋江罗裳片区,
而10月30日出让的P2019-27地块,
则位于陈埭镇。
晋江市P2019-27号地块
出让时间:10月30日
土地面积:57632平方米
地块限价:12725元/平方米
总建筑面积约:103737平方米
(一)土地位置:位于陈埭镇庵上村、洋埭村、仙石村,具体用地位置及范围见该用地规划红线图。
(二)土地面积:57632平方米。
(三)土地用途:商服用地—零售商业用地(商店)、住宅用地—城镇住宅用地(普通住宅)。
(四)土地使用年限:商业40年、住宅70年。
(五)主要规划经济技术指标:1.0<容积率<1.8,建筑密度<35%,绿地率≥30%。
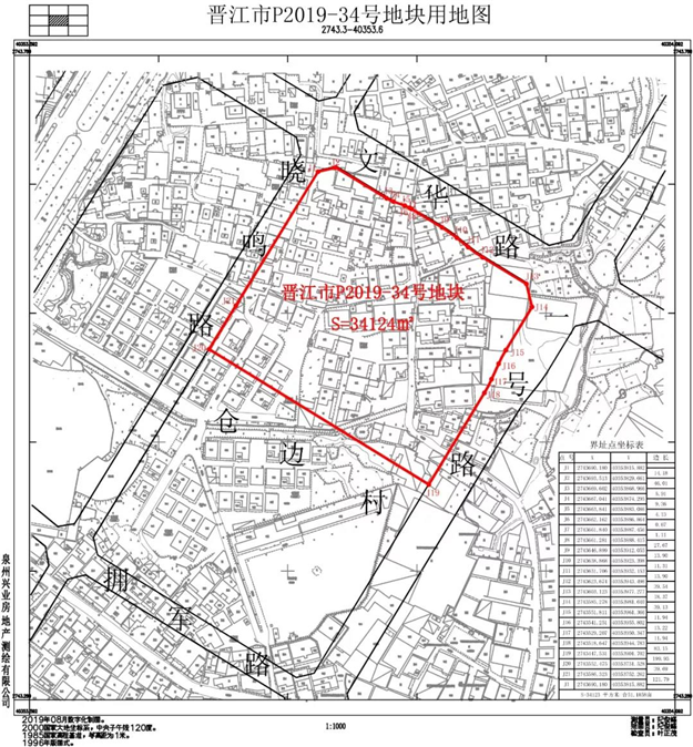
晋江市P2019-34号地块
出让时间:10月24日
土地面积:34124平方米
地块限价:11636元/平方米
总建筑面积约:102372平方米
1、土地位置:位于罗裳片区,具体用地位置及范围见该用地规划红线图。
2、土地面积:34124平方米。
3、土地用途:商服用地—零售商业用地(商店)、住宅用地—城镇住宅用地(普通住宅)。
4、土地使用年限:商业40年、住宅70年。
5、主要规划经济技术指标:1.0﹤容积率﹤3.0,15%﹤建筑密度﹤26%,绿地率≥38%。
晋江市P2019-35号地块
出让时间:10月18日
土地面积:26244平方米
地块限价:11636元/平方米
总建筑面积:78372平方米
1、土地位置:位于罗裳片区,具体用地位置及范围见该用地规划红线图。
2、土地面积:26244平方米。
3、土地用途:商服用地—零售商业用地(商店)、住宅用地—城镇住宅用地(普通住宅)。
4、土地使用年限:商业40年、住宅70年。
5、主要规划经济技术指标:1.0﹤容积率﹤3.0,15%﹤建筑密度﹤25%,绿地率≥38%。
即将出让的三个地块,即将花落谁家,身价几何?我们拭目以待。


















闽公网安备 35020302035470号
最新评论