12月15日
泉州洛江区将出让一幅地块
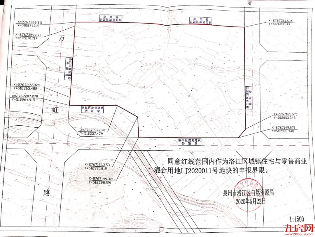
LJ2020011号地块
位于洛江区河市镇下堡村
西临50米宽的万虹路
地块总建超17万方
毛坯住宅最高销售均价为 8500元/㎡
LJ2020011号地块
(一)土地位置:位于洛江区河市镇下堡村,西临50米宽的万虹路;北至其它弹性用地;东临30米宽规划道路,南至24米宽规划道路。具体位置及范围见该用地规划红线图
(二)土地面积:64921平方米(约97.38亩)
(三)土地用途:住宅用地-城镇住宅与商服用地-零售商业混合用地
(四)土地使用年限:商业40年、住宅70年
(五)主要规划经济技术指标:
(1)容积率:2.0-2.7
(2)建筑密度:≤35%
(3)绿地率:≥30%
(4)建筑高度及地下空间控制要求:80米以下,应配建结建地下空间,地下室建筑面积应少于55000平方米,其地下空间应符合人防及防灾规划相关要求。
规划设计条件详见泉洛资〔2020〕78号文,规划经济技术指标应严格执行,不得调整。
(六)起叫价:38952.6万元
(九)增价幅度:200万元的整数倍
(十)毛坯最高销售均价:8500元/㎡
具体公告如下
泉州市洛江区自然资源局
国有建设用地使用权拍卖出让公告
泉自然资洛告字〔2020〕10号
经泉州市洛江区人民政府批准,泉州市洛江区自然资源局决定委托泉州市产权交易中心有限公司以拍卖方式出让洛江区LJ2020011号地块国有建设用地使用权。现将有关事项公告如下:
一、 拍卖出让地块的具体情况和相关要求
(一)LJ2020011号地块
1、土地位置:位于洛江区河市镇下堡村,西临50米宽的万虹路;北至其它弹性用地;东临30米宽规划道路,南至24米宽规划道路。具体位置及范围见该用地规划红线图。
2、土地面积:64921平方米(约97.38亩)。
3、土地用途:住宅用地-城镇住宅与商服用地-零售商业混合用地。
4、土地使用年限:商业40年、住宅70年。
5、主要规划经济技术指标:
(1)容积率:2.0-2.7。
(2)建筑密度:≤35%。
(3)绿地率:≥30%。
(4)建筑高度及地下空间控制要求:80米以下,应配建结建地下空间,地下室建筑面积应少于55000平方米,其地下空间应符合人防及防灾规划相关要求。
规划设计条件详见泉洛资〔2020〕78号文,规划经济技术指标应严格执行,不得调整。
6、该用地采取“限房价,竞地价”的竞拍方式出让,按照价高者得的原则确定竞得人,建成后限定商品住宅(毛坯房)最高销售均价为8500元/平方米。
7、起始(叫)价:38952.6万元。
8、增价幅度:200万元的整数倍。
(二)其他相关要求
1、每宗地块报名截止时通过审查的竞买人数不足2人的,则此宗地块此次拍卖流拍。
2、供地条件按现状净地供地,LJ2020011号地块交地工作由河市镇人民政府负责,自土地拍卖成交之日起60日内完成。
3、竞买申请人拟成立新公司进行开发建设的,应在竞买申请书中明确公司的出资构成、成立时间等,应在成交之日起60日内完成新公司的注册登记手续,并由新公司与泉州市洛江区自然资源局依法签订《国有建设用地使用权出让合同》的变更协议。该用地从施工建设到完工销售所产生的税费必须依法在洛江区行政区域内缴纳。
4、竞得人应自拍卖成交之日起12个月内开工建设,自拍卖成交之日起36个月内竣工。对未按《国有建设用地使用权出让合同》约定时间全部开工、竣工的土地,不予办理土地抵押,金融机构不予办理贷款;对超过《国有建设用地使用权出让合同》约定时间开工的,泉州市洛江区自然资源局在办理转让以及房地产主管部门办理预售许可时,将依法追缴未按约定时间开工、竣工的违约金(每日按出让价款1‰缴纳违约金),并将企业列入土地招拍挂黑名单及将其企业和法定代表人列入失信名单,禁止参加全区土地和政府所有项目招投标。
5、土地出让溢价率超过100%的,项目主体结构完工后方可申请办理商品房预售许可;溢价率达200%以上(含)的,项目竣工验收通过后方可申请办理商品房现售备案。
6、地块竞得人自竞得之日起30日内应缴交成交价总额50%的成交价款(竞买保证金转作土地出让价款),余款在竞得之日起60日内缴清(若土地出让溢价率超过100%的,土地出让价款应在出让合同签订之日起30日内全部缴清)。竞得人不能按时缴交成交价款的,自滞纳之日起,每日按迟延支付款项的1‰向泉州市洛江区自然资源局缴纳滞纳金。逾期付款超过60日的,泉州市洛江区自然资源局依照《国有建设用地使用权出让合同》的约定执行,取消竞得人资格的,竞得人缴纳的竞买保证金作为违约金不予返还并追究其法律责任。
7、竞得人造成出让土地闲置,按《闲置土地处置办法》有关规定执行。
8、LJ2020011号地块应配置独立配建用地面积≥6500㎡、建筑面积≥5200㎡的15班规模幼儿园,并有独立院落及出入口。其建设应符合教育部门的相关要求。项目应配建社区卫生服务站(150㎡≤建筑面积≤220㎡)、居家养老服务站(建筑面积≥70㎡/千人,且应≥100㎡),居家养老服务站宜与幼儿园相邻。以上配建公共服务设施及幼儿园应与该项目同步规划、同步建设、同步验收、同步交付,并无偿将产权、使用权移交给政府有权机构。同时,项目用地内的商业、商务、住宅及公共配套服务设施的建设要同步进行,否则住建部门不予核发预售证。
9、LJ2020011号地块国有建设用地使用权养老服务设施配建具体要求按照《泉州市洛江区民政局关于新建住宅区配建养老服务设施建设意见的函》(泉洛政民函〔2020〕21号)执行。
10、为促进房地产品质提升,LJ2020011号地块国有建设用地使用权建设单体质量要求应当达到泉州市优质工程及以上。
11、按照《泉州市人民政府办公室关于大力发展装配式建筑的实施意见》(泉政办〔2017〕159号)要求,LJ2020011号地块国有建设用地使用权设定装配式建筑面积应不低于20%。
二、竞买人资格及竞买保证金
(一)中华人民共和国境内外的法人、自然人和其他组织,除欠缴土地出让金者、已在洛江区取得合法土地未按规定开发建设者,以及法律、法规另有规定者外,均可依照规定参加竞买。申请人应当单独申请。
(二)竞买申请人提交竞买申请书时,应提交竞买保证金不属于银行贷款、股东借款、转贷和募集资金的承诺书及商业金融机构的资信证明,并承诺购地资金必须是自有资金且商品住宅预售价格接受政府调控。
(三)对竞买人缴交的竞买保证金和土地出让金,泉州市洛江区自然资源局将根据竞买人购地资金审查制度,征询人民银行、银监、金融管理部门等金融监管机构了解是否符合规定。经金融监管机构认定竞买保证金和土地出让金有来源于银行贷款、债券融资、信托资金、资管计划配资、保险资金、P2P募集资金范围的,视为违反竞买规定,泉州市洛江区自然资源局不确认竞买人的投标、竞买资格或依法取消竞得人的资格。
(四)本次拍卖活动LJ2020011地块的竞买保证金为19476万元整。交纳竞买保证金的截止时间为2020年12月14日17时,竞买保证金以款到账为准。竞得人交纳的竞买保证金,成交后抵作受让地块的土地出让金。未竞得人交纳的竞买保证金,在拍卖结束后5个工作日内予以退还,不计利息。
三、拍卖出让的相关时间及地点
(一)报名截止时间:2020年12月14日17时。
(二)报名地点:泉州市洛江区自然资源局三楼利用管理股。
(三)拍卖时间:2020年12月15日15时 。
(四)拍卖地点:泉州市行政服务中心(东海大厦)A幢442室(地址:泉州市丰泽区海星街100号)。
四、本次国有建设用地使用权拍卖出让采用增价拍卖方式,不设定保留底价,按照价高者得的原则确定竞得人。
五、本次拍卖出让地块的详细资料和具体要求,见拍卖出让文件。申请人可于2020年11月24日至2020年12月14日到泉州市洛江区自然资源局获取拍卖出让文件。
六、报名与实地踏勘
(一)有意参与竞买者,须于2020年12月14日17时前,法人申请竞买的携带有效营业执照副本(原件及加盖公章的复印件或经公证的复印件)、法定代表人身份证原件及复印件等,个人申请竞买的携带有效个人身份证件(原件及复印件或经公证的复印件)等,委托代理时,还应提供授权委托书、委托代理人身份证(原件及加盖公章的复印件或经公证的复印件),向泉州市洛江区自然资源局提交竞买申请书、资信证明、承诺书及竞买保证金缴款凭证并办理报名相关手续。
(二)实地踏勘时间为本公告发布之日起至2020年12月14日,需派员陪同实地踏勘的,请提前与我局联系(预约看样时间),由我局或乡镇派员陪同。
七、其他需要公告事项
该地块国有建设用地使用权拍卖出让后,将予以不动产权登记,如有异议者,在本公告发布之日起20日内带有效土地权属证明材料向泉州市洛江区自然资源局提出,逾期即予不动产登记发证。
八、注意事项
申请人须全面阅读有关出让文件后再提出申请,如有疑问可在拍卖出让活动开始日以前用书面或口头方式向泉州市洛江区自然资源局咨询。申请一经受理确认后,即视为竞买人对出让文件及地块现状无异议并全部接受,并对有关承诺承担法律责任。
九、泉州市洛江区自然资源局对本《公告》有解释权。
十、联系方式
泉州市洛江区自然资源局
地 址:洛江区安吉路231号
咨询电话:0595-22632668
联 系 人:颜先生、柯先生
二○二○年十一月二十四日








闽公网安备 35020302035470号
最新评论